|
Площа25 сот.
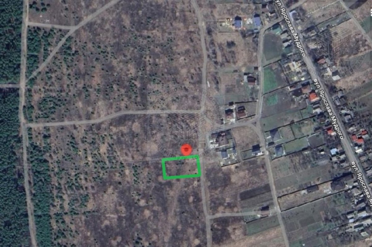
Ділянка, 25 сот, ІЖЗ, с.БлиставицяПродам ділянку, с. Блиставиця, вул. Космічна, 2, Бучанський район (Бородянський)
Площа: 25 соток Призначення: для будівництва і обслуговування житлового будинку.
Форма ділянки прямокутна, релєф рівний. По фасаду 41м, боковина – 62 м. Прекрасне місце для великого родинного будинку з великою ділянкою, що дозволяє зробити подвіря за своїм смаком: сад, басейн, альтанка, літній будиночок, тощо. Дорога: ґрунтова, сусідня - асфальтована.
Поряд жилі будинки. Комунікації: електрика до перехрестя до цієї вулиці. Газ – на сусідній вулиці.
Село Блиставиця знаходиться в зеленій зоні: поряд ліс, є трішечки далі озера. У селі є продуктові магазини, сучасний дитсадок, школа, амбулаторія, приватний медичний центр, пошта. Автомобілем до Академмістечка – 30-35 хв
Наша пропозиція підійде для поцінювачів приватних будинків та ланшафтних пейзажів, для комфортного заміського життя.
Спеціаліст Світлана Id оголошення698392 Оголошення додано22.04.2024 Оголошення оновлено24.04.2026 Поділитися 21 000 $ Агент: Світлана Савушкіна АН 'АН КУБ' Повідомлення |
|





















